Három ciklon tombol a Csendes-óceánon. Az egyik Ausztrália felé tart, a többi Új-Zélandot és Guam szigetét sújtja. Több ezer embert fenyeget a veszély.
Jelenleg három trópusi ciklon sújtja a Csendes-óceán déli részét. Az első ciklon, a Vaianu, jelenleg Új-Zéland Északi-szigete felé tart. Erős szél, rendkívüli esőzések és áradások várhatók vasárnapig (április 12.). Új-Zéland északi és keleti részén 48 órán belül négyzetméterenként 200 liternél nagyobb csapadékmennyiség halmozódhat fel. Ez áradásokhoz, elöntésekhez és földcsuszamlásokhoz vezethet.
Erős széllökések, viharos és nagy hullámok is várhatók. Vasárnap este a rendszer várhatóan dél-keletebbre mozdul el, és eltávolodik Új-Zélandtól.
Újabb ciklon tart Ausztrália felé: a Maila ciklon várhatóan hétfő és kedd között éri el a kontinens északkeleti részét. Heves időjárás várható özönvízszerű esővel, pusztító széllel és áradásokkal. A Maila ciklon április elején jelentősen felerősödött, egy ponton elérte a legmagasabb, 5-ös kategóriát is. Jelenleg a Maila 4-es kategóriájú ciklonként van besorolva. Várhatóan a jövő hét elején éri el a partot.
A jelenlegi előrejelzések szerint a ciklon az ausztráliai Queensland állam felé tart. A távol-északon fekvő Cape York-félsziget különösen érintett lehet, ahol rövid idő alatt négyzetméterenként akár 100 liter eső is eshet. A part mentén villámárvizek és több méter magas hullámok is előfordulhatnak.
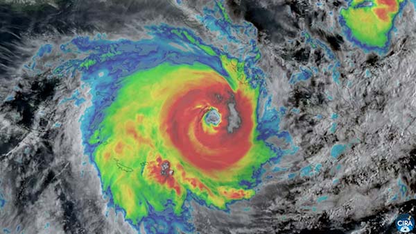
A csoport harmadik vihara a Sinlaku ciklon. Április 9-én alakult ki Mikronézia felett, és várhatóan már szombaton (április 11-én) felerősödik, majd hétfő este és kedd reggelig erős ciklonként éri el Guam szigetét.
A progresszív klímaváltozás megváltoztatja a ciklonokat és hurrikánokat. Bár a globális felmelegedés nem feltétlenül teszi ezeket a halálos viharokat gyakoribbá, jelentősen veszélyesebbé teszi őket. A tengerparti városok, szigetek és még a tengerparttal nem rendelkező országok számára is évről évre növekszik a kockázat.
Czeglédi Andrea
Tordai Csilla
Gáspár Mihály
Varga Zsolt
Kertész B.Ferenc
Nagy Zoltán
Becsky István
Porkoláb Zsolt
Design, programozás, technikai üzemeltetés
LS Computer
Szerzői Jogok
• Az estiujsag,hu webszájton ("lap") található tartalom a szerkesztőség ("kiadó") szellemi tulajdona.
• Az Esti Újság szerkesztősége fenntart minden, a lap bármely részének bármilyen módszerrel, technikával történő másolásával és terjesztésével kapcsolatos jogot. A laphoz tartozó oldalak tartalmát és kialakítását nemzetközi és magyar törvények védik.
• A kiadó előzetes írásos hozzájárulása nélkül tilos a lap egészének vagy részeinek (szöveg, grafika, fotó, audio- vagy videoanyag, adatszerkezet, struktúra, eljárás, program stb.) feldolgozása és értékesítése. A lap tartalmának egyes részeit - kizárólag saját felhasználás céljából - merevlemezére mentheti vagy kinyomtathatja, de ebben az esetben sem jogosult a lap így többszörözött részének további felhasználására, terjesztésére, adatbázisban történő tárolására, letölthetővé tételére, kereskedelmi forgalomba hozatalára.
• Az Esti Újság teljes egészében, a reklámokkal, hirdetésekkel együtt szerzői jogvédelem alatt állnak, azokból bármely részt kivágni, a megcsonkított részt pedig nyilvánossághoz bármely módon újraközvetíteni tilos. Tilos továbbá a kiadó előzetes írásbeli engedélye nélkül a lap tartalmát tükrözni, azaz technikai művelet segítségével nyilvánossághoz újraközvetíteni, még változatlan formában is.
• A jogosulatlan felhasználás büntető- és polgári jogi következményeket von maga után. Az Esti Újság szerkesztősége követelheti a jogsértés abbahagyását és kárának megtérítését.
• A laptól értesüléseket átvenni csak a lapra való hivatkozással lehet, azzal a feltétellel, hogy az átvevő a) nem módosítja az eredeti információt, b) a lapra utaló egyértelmű hivatkozást minden közlésnél feltünteti.
• A hírügynökségek honlapunkon felhasznált hírei és fotói szerzői jogvédelem alatt állnak, a személyes és nem kereskedelmi felhasználás eseteinek kivételével tilos azokat akár eredeti, akár átírt formában bármilyen médiumban közölni, sugározni vagy továbbadni, részben vagy egészben számítógépen tárolni.
• Az Esti Újság pontos és hiteles információk közlésére törekszik, de a tájékoztatásból fakadó esetleges károkért felelősséget nem vállal.
Az MTI hírügynökségek a honlapon felhasznált hírei és fotói szerzői jogvédelem alatt állnak. Tilos azokat akár eredeti, akár átírt formában bármilyen médiumban közölni, sugározni, vagy tovább adni, részben vagy egészben számítógépen tárolni - a személyes és nem kereskedelmi felhasználás eseteinek kivételével.
Az Esti Újság és az ehhez kapcsolódó szolgáltatások adatrögzítése
Felhasználói oldalról
Az Esti Újság és az ehhez kapcsolódó összes szolgáltatás az ingyenes
regisztrációhoz adatokat kér be és tárol a rendszeren. Ezen adatok a szolgáltatások
igénybevételéhez szükségesek, melyekből statisztikai kimutatásokat készítünk a
szolgáltatásainkat igénybevevő felhasználókról.
Az adatok tárolásánál mindig a lehető legnagyobb biztonságot alkalmazzuk,hogy
ezek harmadik személy, illetve illetéktelenek kezébe ne kerülhessenek.
Az üzemeltető statisztikai összegzést készít a rögzített adatokból, ezen kimutatások
végeredménye csak statisztikai formában készülhet el, mely nem alkalmas egyedi
azonosítókhoz való kapcsolására.
Ezen statisztikai adatok a szolgáltatások fejlesztésekhez illetve a hirdetési felületek
értékesítéséhez szükségesek.
Látogatói oldalról
Az Esti Újság és a hozzá kapcsolódó szolgáltatások a látogatókról rögzítik (IP cím,
böngésző típusa, stb.) az adatokat, melyekről az üzemletető statisztikai
kimutatásokat készít csak statisztikai formátumban.
Üzemeltető az adatok tárolásánál a lehető legnagyobb biztonságot alkalmazza, hogy
az adatok illetéktelenek kezébe ne kerülhessenek.
Az üzemeltető statisztikai összegzést készít a rögzített adatokból, ezen kimutatások
végeredménye csak statisztikai formában készülhet el, mely nem alkalmas egyedi
azonosítókhoz való kapcsolására.
Ezen statisztikai adatok a szolgáltatások fejlesztésekhez illetve a hirdetési felületek
értékesítéséhez szükségesek.
Az Esti Újság és az ehhez kapcsolódó szolgáltatások adatközlése
Felhasználói és látogatói oldalról egyaránt
Üzemeltető a fentebb említett statisztikai adatokat kivéve adatokat harmadik fél
részére semmilyen formában át nem ad.
Az Esti Újság és az ehhez kapcsolódó szolgáltatások hivatkozásai
Az Esti Újság tartalmaz hivatkozásokat más oldalakra is. Az üzemeltetőnek nem áll
és nem is állhat kontrollja alatt ezen oldalak adatközlése, így ezen oldalak
adatköléséért, valamint ezen oldalak személyiségi jogokban való eljárásáért az
üzemeltető semmilyen felelősséget nem tud vállalni.
Etikai alapelveink
A mindenkori politikának kívánunk tükröt állítani. Az újságírás ugyanis valaha erről
szólt. Valljuk és hisszük az igazság kutatása, keresése, megírása a feladatunk. Nem
vagyunk a politika szócsöve sem. S bértollnokok sem vagyunk. Minden, ami politika,
és bulvár, azt oknyomozóként megírjuk. Minderre garancia kollegáink tudása, akik
közt Egon Erwin Kirsch díjazottjaink is vannak.
A hírszolgáltatás célja
A hírszolgáltatás elsődleges célja az emberek informálása és annak lehetővé tétele,
hogy mindenkor meg tudják ítélni az aktuális témákat - legyen szó politikáról,
számítástechnikáról, tudományról vagy bármi egyébről. A hírszolgáltatásban
dolgozók kötelessége, hogy mindig ezt tartsák szem előtt, és soha ne használják
saját céljaikra a birtokukban lévő hatalmat.
Függetlenség és pártatlanság
A hírszolgáltatásban dolgozóknak el kell kerülniük a tisztázatlan helyzeteket, illetve
azok látszatát. Ugyanígy kerülniük kell bármilyen, érdekütközésből származó
összeférhetetlenségét, vagy ennek látszatát. Nem fogadhatnak el semmilyen
ellenszolgáltatást azért, hogy pozitív véleményt közöljenek vagy elhallgassanak
tényeket, és nem folytathatnak olyan tevékenységet, mely kompromittálja
függetlenségüket (vagy azt a látszatot kelti, hogy kompromittálja). Pártatlannak kell
lenniük, de joguk van véleménynyilvánításra - amennyiben biztosítják, hogy az
olvasó számára is egyértelműen elkülönüljön egymástól a hír és a szerkesztőségi
vélemény.
Pontosság és hitelesség
Az olvasóval szemben mindig tisztességesnek kell lenni, és mindig arra kell
törekedni, hogy a hír pontos legyen; ne legyen egyoldalú; feltárja az
összefüggéseket és minden oldalról tisztességesen világítsa meg a kérdést.
Ugyanez igaz az elemző cikkekre és a kommentárokra is. A lényeges tárgyi
tévedéseket és a kihagyásokból származó hibákat azonnal és feltűnő módon ki kell
javítani, hogy az olvasók is tudomást szerezhessenek a korrekcióról.
Korrektség és a jogok tiszteletben tartása
Mindenkor teljes mértékben tiszteletben kell tartani a hírekben szereplő, vagy a
hírekkel kapcsolatban érintett személyek jogait. A hírszolgáltató mindig tegye fel
magának a kérdést, hogy milyen eljárásra tartana igényt, ha ő vagy az egyik
családtagja lenne az érintett. Egy nyilvános vád esetén mindig biztosítani kell az
érintettnek a válaszadás lehetőségét. Amennyiben valaki megígéri hírforrásának,
hogy nem fedi fel kilétét, úgy ehhez minden körülmények között ragaszkodnia kell -
és ennek megfelelően csak indokolt esetben szabad ilyen ígéretet tenni.
Amennyiben nem indokolt a forrás eltitkolása, úgy az információ forrását meg kell
nevezni.